Auction Date:
Auction Location / Nearest City:
Featured items:
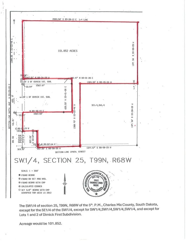
- 104.638 SURVEYED ACRES
- All cropland
- Water & power access on two sides
- 1.5 MILES SOUTH OF PLATTE ON PAVED ROAD
view full listing info & Photos
Auction Description:
ONLINE LAND AUCTION – 104 ACRES IN CHARLES MIX COUNTY, SD – ATTENTION FARMERS – HUNTERS – DEVELOPERS ….. PLATTE, SD
Online Auction
Auction Ends: March 5th, 2026 – 5:00pm MT
Location: PLATTE, SD
Land has great access with water and power on two sides. This land is just south of Platte, SD ….. just east of Lake Francis Case / Missouri River, Platte Creek State Recreation Area & Snake Creek Recreation Area.
Be sure to look this opportunity over.
THURSDAY MARCH 5th 2026 @ 6:00 pm CENTRAL / 5:00pm MOUNTAIN
104.638 SURVEYED ACRES SELLING
Located 1.5 MILES SOUTH OF PLATTE ON PAVED ROAD
All cropland – water & power access on two sides
CORNER OF 367th Avenue & 275th Street
SELLERS: PMD FARM LLP
LEGAL DESCRIPTION:
N1/2-SW1/4, sw1/4-sw1/4 less sw1/4-sw1/4-sw1/4-sw1/4 except Lot 1 of Dimick first subdivision, all in section twenty-five, township ninety-nine north sixty-eight west of the 5th principal meridian, Charles Mix county, South Dakota, subject to all easements, right-of-ways and reservations of record
TERMS & CONDITIONS
Travis Real Estate & McPherson Auction & Realty represents the seller/s in the transaction, and is not responsible for statements made by other parties. Any third party agent is not a sub agent of Travis Real Estate or McPherson Auction & Realty.
Property will sell “as is where is – with all faults.” There is no warranty of condition and the property is not subject to appraisal or professional inspections which may be required by a Lender/financing company.
This property is available for your own inspection at any time. No Property Condition Disclosure Statement or Lead-Based Paint Disclosure have been completed as there are no structures selling on this real estate auction.
This property will be sold via On-line auction on Thursday, March 5, 2026. Bidding will open the morning of March 5, 2026 – Buyers may begin to place their initial bid, and subsequent bids, on-line at www.mcphersonauction.com. Auction begins to close out @ 6:00 p.m. CDT/5:00 p.m. MST.
An 8% (EIGHT percent) Buyer Premium will be added to the winning bid to arrive at the total contract purchase price of the property. Buyer will be responsible for the SD Professional Fees tax required by the State to be charged on professional fees. (For property located OUTSIDE city limits, the tax rate is 4.2%.)
At the conclusion of the Auction, the highest bidder will be notified and the Buyer must meet or make arrangements with Travis Real Estate within 24 hours of close of auction to sign the required Purchase Agreement and other buyer/seller documents. If you are unable to meet in person with Travis Real Estate (@ 12 E. 4th Street, Platte, SD) we must have a way of contacting you AND you must have a way of receiving emails or faxes in order to complete the Offer & Agreement to Purchase documents.
On the day of the auction, Buyer will provide EARNEST MONEY DEPOSIT in the form of cash or certified check in the amount of 10% (TEN percent) of the purchase price. Earnest money MUST be deposited within 24 hours and will be held in the escrow account of Rosebud Title Company until date of closing. The earnest money deposit is non refundable and will not be refunded to you should you not close on the transaction.
All bids are in US dollars.
All auctions are cash auctions. Closing of this transaction is to competed 30 to 45 days after the auction. All prospective bidders must have their financial arrangements made prior to bidding on any real estate or personal property sold at our auctions. At no time will the sale of any property be contingent upon the high bidder’s ability to receive financing, unless otherwise stated in the terms of the sale for that auction.
Should the high bidder not complete the Offer & Agreement to Purchase, or not make the required earnest money deposit, or not close on this transaction, Travis Real Estate reserves the right to offer the property to the next highest bidders in their order of finish until a subsequent buyer has been identified, or to return the property to the open market.
Seller will furnish the deed.
Seller will pay the real estate transfer tax.
All real estate taxes will be prorated to date of closing.
Buyer will pay for the recording of the deed.
Seller and Buyer will equally share the cost of the title insurance and the closing fee charged by Rosebud Title Company. This transaction will be closed by Rosebud Title Company on a date mutually agreed upon between Sellers/Buyer/Rosebud Title Company.
Possession will go to the buyer at closing. Closing to take place 30 TO 45 days after the conclusion of the auction OR SOONER. Seller and buyer may agree to a longer closing time frame.
Buyer Broker participation is available to any current actively licensed South Dakota Real Estate professional. Contact our office for details, guidelines & fee schedule.
This is a public auction. This property is available to qualified purchasers without regard to race, religion, gender, familial status, national origin, or physical handicap.
Travis Real Estate is representing the seller’s interest in this transaction. Announcements, verbal or message, made the day of, or during the auction, take precedence over any and all other advertising and representations, verbal, printed or delivered under any other media form.
Any person or persons interested in purchasing this property can do so by bidding from their own computer, via the internet. We will be happy to help you in any way possible if you are unable to bid online or from your smart phone, let us know how we can help.
For more information on this property and to schedule a private showing, call/text:
Tom Travis, Broker, 605-680-3166
Donna Travis, Broker Associate 605-680-1685
If you need assistance with getting on line to place a bid, please call/text us at your convenience so that we can have you on the phone or work out arrangements for your proxy bids.
Tom Travis, Auctioneer, 605-680-3166
Kevin McPherson, Auctioneer, 605-484-1781
TERMS:
All sales are final.
All announcements day of sale are final.
AUCTIONEER, SELLER & SERVICE PROVIDERS ARE NOT RESPONSIBLE FOR LOST OR INSUFFICENT INTERNET OR TELEPHONE SERVICE THAT MAY LIMIT THE BUYERS ABILITY TO PARTICIPATE IN THE AUCTION OF ANY ITEM OFFERED IN THIS AUCTION.
***AUCTIONEERS & STAFF ARE REPRESENTING THE SELLER IN THIS TRANSACTION ***
*Auctioneers reserve the right to refuse issuing a bidders card/number. Auctioneers make no guarantees or warranties, expressed or implied, of any kind.
*Announcements made day of auction, or at the time of sale will take precedence over any and all other advertising or representations, whether printed or verbal.
*All listing and promotional information regaurding the items selling at this auction is for informational purposes only. All bidders and buyers must rely on their own inpsection and research. Every item sells AS IS – WHERE IS, without exception.
Internet bids, Proxy / Absentee bids and Telephone bids are accepted.
ALL PURCHASES MUST BE PAID FOR IN FULL AND IN US FUNDS PRIOR TO THE REMOVAL OF YOUR PURCHASES.
Auction Location / Nearest City:
LISTING COMPANY










